Caribe: furacão Melissa vai à categoria de 'catástrofe' e causa mortes
A tempestade de movimento lento matou pelo menos três pessoas no Haiti e uma quarta pessoa na República Dominicana
Publicado: 27/10/2025, 10:50

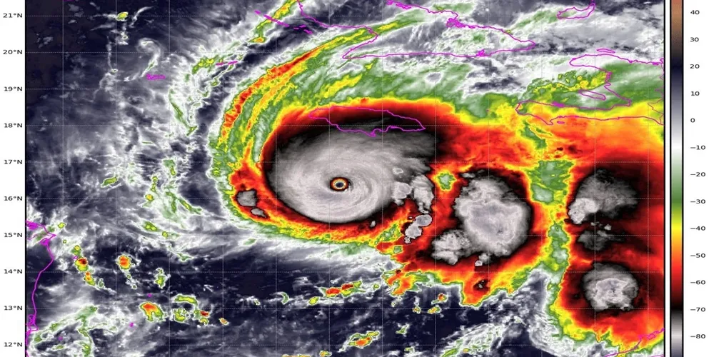
Com ventos de 257 km/h, o furacão Melissa evoluiu para categoria 5 – ventos destrutivos, marés de tempestade e inundações catastróficas – e atingiu o mar do Caribe, prejudicando países próximos à área marítima. O fenômeno meteorológico se intensificou nesta segunda-feira (27) e está perto da Jamaica, Haiti e República Dominicana. Até o momento, quatro pessoas morreram.
“Melissa ganhou força e se tornou um furacão de categoria 5, com ventos de 257 km/h e pressão central de 917 mb, confirmado pelos Caçadores de Furacões da Reserva da Força Aérea. As condições na Jamaica piorarão rapidamente ainda hoje e à noite. Aqui estão as principais mensagens detalhes mais recentes”, comunicou o Centro Nacional de Furacões dos EUA.
De acordo com o jornal americano AP News, a tempestade de movimento lento matou pelo menos três pessoas no Haiti e uma quarta pessoa na República Dominicana. A previsão é de que Melissa chegue à ilha nesta terça-feira (28/10) e atravesse Cuba e as Bahamas até quarta-feira (29/10).
O que se espera da evolução do fenômeno para categoria 5 é que o furacão atinja com mais intensidade o norte do Caribe, incluindo Jamaica e Haiti. O Centro Nacional de Furacões dos EUA ainda comentou que o fenômeno pode atingir outros países próximos ao mar.
A categoria 5 é a mais alta na escala Saffir-Simpson (sistema para classificar funções e intensidade dos ventos), com ventos constantes superiores a 250 km/h. Melissa é o furacão mais forte da história recente, com previsão de atingir diretamente o pequeno país caribenho.
Informações: Metrópoles





















